Miscellanea Miridologica IV. Taxonomy and chorology of new or little known taxa of Andean and Neotropical Regions (Heteroptera: Miridae)
DOI:
https://doi.org/10.32870/dugesiana.v24i2.6674Palabras clave:
Heteroptera, Miridae, distribution, new genus, new species, neotropics, necrophagyResumen
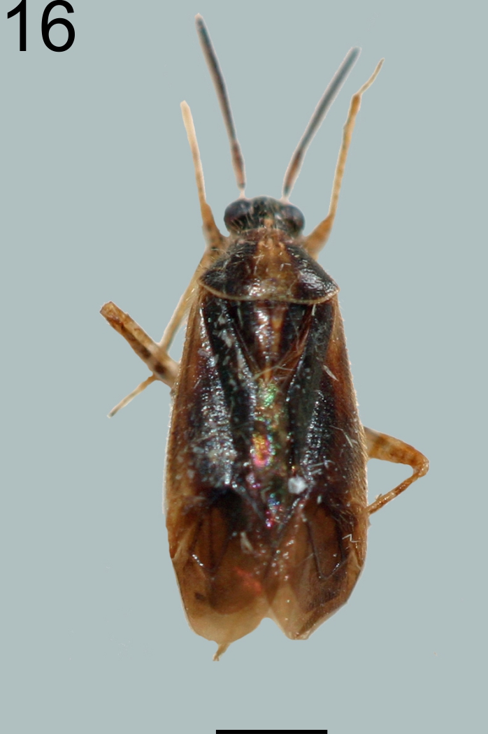
Neogarganus brailovskyi n. gen., n. sp., is described as new genus and new species from Kaw Mountain, French Guyana and Adnotholopus carapezzai n. sp. is described as new species from Iquitos, Peru. The female genitalic structures of Stenoparedra fallax (Signoret, 1864), S. scutellata (Spinola, 1852) and S. similaris Carvalho and Dutra, 1961 are briefly described for the first time, the genus diagnosed and keyed, the habitus of both sexes of all included species are illustrated. An observation of necrophagy of Stenoparedra on honeybee is briefly discussed. Data on chorology of several species (with geographical coordinates of each new collection events) are also provided, including several new country records: Anomalocornis tucuruiensis Carvalho, 1984 (French Guyana), Calocorisca villosa Distant, 1884 (Ecuador), Dagbertus insignis Carvalho, 1977 (Peru), Eccritotarsus incaicus Carvalho and Gomes, 1970b (Ecuador), Fortunacoris castaneus Carvalho, 1985 (Ecuador), Garganus insularis Carvalho and Becker, 1957 (Costa Rica), Guianella pilosa Maldonado and Carvalho, 1981 (Peru), Laemocoridea dispersa (Carvalho, 1944b) (French Guyana), Notholopus columbianus Carvalho, 1975 (Costa Rica and Peru), N. coreoides Carvalho, 1975 (Surinam), Parafulvius amblytyloides Carvalho, 1954 (French Guyana), Phytocoris araucanus Carvalho and Ferreira, 1969 (Argentina), Polymerus chilensis Carvalho and Gomes, 1969 (Argentina), Preposisca frontosa (Carvalho, 1987) (French Guyana), Rhinacloa apicalis (Reuter, 1905) (French Guyana), R. clavicornis (Reuter, 1905) (French Guyana), R. pallidipes Maldonado, 1969 (French Guyana), Sericophanes ornatus (Berg, 1878) (French Guyana), Stenodema columbiensis (Carvalho, 1985) (Ecuador), Taedia compactina Carvalho, 1975 (Peru) and Tytthus parviceps (Reuter, 1890) (French Guyana).Citas
Almeida, J.R. and P.S.F. Ferreira. 1984. Distribução géográfica da espécies de Polymerus Hahn, 1831 (Hemiptera: Miridae) na América do Sul. Anais da Sociedade Entomológica do Brasil, 13(1): 151–156.
Baerensprung, F. 1860. Catalogus Hemipterorum Europae. Hemiptera Heteroptera Europea systematice disposita. Berlin. 24 pp. (not seen).
Berg, C. 1878. Hemiptera Argentina. Ensayo de una monografia de los Hemipteros-Heteropteros y Homopteros de la Republica Argentina. Anales de la Sociedad Cientifica Argentina, 6: 261–284.
Berg, C. 1883. Addenda et emendanda ad Hemiptera Argentinae (2). Anales de la Sociedad Cientifica Argentina, 16: 5–32.
Berg, C. 1892. Nova Hemiptera faunarum Argentinae et Uruguayensis. Anales de la Sociedad Cientifica Argentina, 33: 193–205.
Bergroth, E. 1910. On some Miridae from French Guiana. Annales de la Société entomologique de Belgique, 54: 60–68.
Bergroth, E. 1922. On the South American Miridae described by C. Stål. Arkiv för zoologi, 14: 1–25.
Blanchard, E. 1852. Orden VII. Hemipteros. In: Gay, G. (ed.). Historia fisica y politica de Chile. 7. Paris y Museo de Historia Natural de Santiago. pp. 113–320 (not seen).
Carpintero, D.L. 1999. Lista de las Miridae (Heteroptera) de los parques nacionales patagónicos argentinos. Revista de la Sociedad Entomologica Argentina, 58(3-4): 51–52.
Carpintero, D.L. and J.C.M. Carvalho. 1993. An annotated list of the Miridae of the Argentine Republic (Hemiptera). Revista Brasileira de Biologia, 53(3): 397–420.
Carpintero, D.L. and F. Chérot. 2008. Sur quelques nouveaux Phytocoris Fallén, 1814 (Heteroptera: Miridae) de l’Argentine et du Chili. I. Nouvelle Revue d’Entomologie (N.S.), 24(3): 221–258.
Carvalho, J.C.M. 1944a. Mirídeos Neotropicais: Revisão do gênero Derophthalma Berg et descrição de um gênero novo da fauna chilena (Hemiptera). Revista de Entomologia, 15(1-2): 144–153.
Carvalho, J.C.M. 1944b. Mirideos neotropicais: Sôbre o gênero "Sericophanes" REUTER, com a descrição de uma nova especie. Revista Brasileira de Biologia, 4: 517–530.
Carvalho, J.C.M. 1946. Mirideos neotropicais, 20: Tres espécies novas dos gêneros Platytomatocoris Reuter, Antias Distant e Hyalochloria Reuter. (Hemiptera). Livro Jubilar R. F. Almeida. pp. 125–132.
Carvalho, J.C.M. 1947. Mirídeos Neotropicais, XXVII: Gêneros Porpomiris Berg, Lampethusa Distant, Cyrtopeltis Fieber e Dicyphus Fieber. Boletim do Museu Nacional, Zoologia, 77: 1–41.
Carvalho, J.C.M. 1954. Neotropical Miridae, 74: Two new genera of Cylapinae from Brazil (Hemiptera). Proceedings of the Iowa Academy of Sciences, 61: 504–510.
Carvalho, J.C.M. 1959. Catálogo dos Mirídeos do Mundo. Part IV. Subfamília Mirinae. Arquivos do Museu Nacional, Vol. XLVIII: 1–384.
Carvalho, J.C.M. 1974. Mirideos neotropicais, CLXXXI: Estudos sôbre a tribo Resthenini Reuter. VIII. - Descriçao de Prepopsella n. gen. e seis espécies novas (Hemiptera). Anais da Academia Brasileira de Ciencias, 46: 303–310.
Carvalho, J.C.M. 1975a. Mirídeos Neotropicais, CLXXXVIII: On the genera Dolichomiris Reuter, Megaloceroea Fieber, Stenodema Laporte, Trigonotyliscus n. gen. and Trigonotylus Fieber (Hemiptera). Revista Brasileira de Biologia, 35(1): 121–140.
Carvalho, J.C.M. 1975b. Mirídeos Neotropicais, CLXXXIX: Descrições de Espécies novas de Poeas e Taedia (Hemiptera). Revista Brasileira de Biologia, 35(2): 167–206.
Carvalho, J.C.M. 1975c. Mirídeos Neotropicais, CXCII: Descrição de do Subgêneros e Espécies novas do Gênero Notholopus Bergroth (Hemiptera). Revista Brasileira de Biologia, 35(3): 369–378.
Carvalho, J.C.M. 1977. Mirídeos Neotropicais, CCIX: Descrições de quatro espécies novas e do macho de Hadronemisca corcovadensis Carvalho & Gomes. Revista Brasileira de Biologia, 37(1): 17–22.
Carvalho, J.C.M. 1981. Mirídeos Neotropicais, CCXXXII: descrições de dois gêneros e cinco espécies novas (Hemiptera). Revista Brasileira de Biologia, 41(1): 11–18.
Carvalho, J.C.M. 1984. Mirideos neotropicais, CCLII: Descriçoes de novos generos e espécies da tribo Phylini Douglas and Scott (Hemiptera). Boletim do Museu Paraense Emilio Goeldi, Zoologia, N.S., 1: 143–206.
Carvalho, J.C.M. 1985a. Mirídeos Neotropicais, CCXL: Descrições de duas espécies de Penacoris Carvalho and Rosas e notas sobre a espécies-tipos de Araucanophylus Carvalho (Hemiptera). Boletim do Museu Paraense Emilio Goeldi, 2(1): 7–12.
Carvalho, J.C.M. 1985b. Mirídeos Neotropicais, CCLXI: Descrições de um Gêneros e onze Espécies Novos da América Central e América do Sul (Hemiptera). Revista Brasileira de Biologia, 45(4): 653–668.
Carvalho, J.C.M. 1985c. Mirídeos Neotropicais, CCLII: Descriçoes de novos gêneros e espécies da tribo Orthotylini Van Duzee (Hemiptera). Revista Brasileira de Biologia, 45(3): 249–298.
Carvalho, J.C.M. 1986. Mirídeos Neotropicais, CCLXI: Gênero Calocorisca Distant com descrições de Espécies novas (Hemiptera). Revista Brasileira de Biologia, 46(1): 55–77.
Carvalho, J.C.M. 1987. Mirídeos Neotropicais, CCXXXI: Gêneros Bolivomiris novo genus e Guaicurua novo genus. (Hemiptera). Revista Brasileira de Biologia, 47(4): 593–595.
Carvalho, J.C.M. 1989. Mirídeos Neotropicais, CCCIV: Novos Gênero e Espécies do Brasil. Revista brasileira de Biologia, 49(2): 443–460.
Carvalho, J.C.M. 1990a. Mirídeos Neotropicais, CCCXXXI: Um Gênero e Três Espécies Novos do Brasil. Anais da Academia Brasileira de Ciencias, 62(1):75–78.
Carvalho, J.C.M. 1990b. Mirídeos Neotropicais, CCCXLII: Novo Gênero e Novas Espécies da América do Sul. Anais da Academia Brasileira de Ciencias, 62(4): 393–400.
Carvalho, J.C.M. 1992.- Mirídeos Neotropicais, CCCLI: Quatro Gênero e Espécies novos da América do Sul (Hemiptera). Revista brasileira de Entomologia, 36(3): 581–588.
Carvalho, J.C.M. and C.R.S. Afonso. 1977. Mirídeos Neotropicais, CCVIII: Sobre uma coleção enviada para estudio pela academia de ciências da California. Revista Brasileira de Biologia, 37(1): 7–16.
Carvalho, J.C.M. and J. Becker. 1957. Neotropical Miridae, LXXX: On a collection of «Miridae» from Fernando Noronha Islands. Revista Brasileira de Biologia, 17(2): 253–256.
Carvalho, J.C.M. and J. Becker. 1958. Neotropical Miridae, LXXXIII: A new species of "Cyrtopeltis (Engytatus)" with notes on related species (Hemiptera, Heteroptera). Revista Brasileira de Biologia, 18: 333–336.
Carvalho, J.C.M. and D.L. Carpintero. 1987. Mirídeos Neotropicais, CCLXXII: Descrição de Sete Espécies Novas da Tribo Resthenini Reuter (Hemiptera). Revista Brasileira de Zoologia, 4(1): 19–31.
Carvalho, J.C.M. and D.L. Carpintero. 1992. Mirídeos Neotropicais, CCCLVIII: Observación de los Tipos de Miridae described por C. Berg (1878-93) con notas y Correcciones Taxonomicas (Hemiptera). Anais da Academia Brasileira de Ciencias, 64(1): 87–97.
Carvalho, J.C.M. and A.A.L. Costa. 1988. Mirídeos Neotropicais, CCXCII: Revisão do Gênero Sericophanes Reuter na América do Sul e América Central (Hemiptera). Revista Brasileira de Biologia, 48 (4): 897–909.
Carvalho, J.C.M. and A.A.L. Costa. 1992. Mirídeos Neotropicais, CCCLXIX: Três Gêneros e Quatro Espécies Novos do Brasil. Anais da Academia Brasileira de Ciencias, 64(2): 193–198.
Carvalho, J.C.M. and C.J. Drake. 1943. A new genus and two new species of Neotropical Dicyphinae (Hemiptera). Revista Brasileira de Biologia, 3: 87–89 (not seen).
Carvalho, J.C.M. and J.A.P. Dutra. 1961. Mirídeos Neotropicais, LXXXVII: Revisão do gênero Stenoparedra Reuter, 1909 (Hemiptera, Heteroptera). Avulso Centro Estudos Zoológicos, 12: 1–9.
Carvalho, J.C.M. and P.S.F. Ferreia. 1969. Mirídeos Neotropicais, CXI: Gênero Phytocoris Fallén na Fauna Chilena (Hemiptera). Anais da Academia Brasileira de Ciencias, 41(4): 601–623.
Carvalho, J.C.M. and P.S.F. Ferreia. 1972. Mirídeos Neotropicais CXLV: Estudo de duas coleçoes da Republica do Peru (Hemiptera). Revista Brasileira de Biologia, 32: 177–183.
Carvalho, J.C.M. and A.V. Fontes. 1969a. Mirídeos Neotropicais, CX: Sôbre a posiçao sistematica de alguns generos da tribo Stenodemini China (Hemiptera). Revista Brasileira de Biologia, 29: 329–350.
Carvalho, J.C.M. and A.V. Fontes. 1969b. Mirídeos neotropicais CVI: Estudos sôbre o genero Prepops Reuter (I), (Hemiptera). Anais da Academia Brasileira de Ciencias, 41: 259–275.
Carvalho, J.C.M. and A.V. Fontes. 1970. Mirídeos neotropicais, CXVI: Estudos sôbre o genero Prepops Reuter - (III), (Hemiptera). Anais da Academia Brasileira de Ciencias, 42: 367–388.
Carvalho, J.C.M. and I.P. Gomes. 1969. Mirídeos Neotropicais, CXII: Espécies do Gênero Polymerus Hahn que ocorrem no Chile. Revista Brasileira de Biologia, 29(4): 477–486.
Carvalho, J.C.M. and IP Gomes. 1970a. Mirídeos Neotropicais, CXIV: Algumas Espécies de Phytocoris Fallèn da Argentina, Brasil, Colombia e Paraguai. Revista Brasileira de Biologia, 30(1): 115–136.
Carvalho, J.C.M. and I.P. Gomes. 1970b. Mirídeos Neotropicais, CXVII: Sôbre algums espécies de Bryocorini e Clivinemini (Hemiptera). Revista Brasileira de Biologia, 30(3): 411–418.
Carvalho, J.C.M. and I.P. Gomes. 1971. Mirídeos Neotropicais, CXXI: Revisão do Gênero Taedia Distant, 1883, na Região Neotrópica (Hemiptera). Anais da Academia Brasileira de Ciencias, 43(1): 249–286.
Carvalho, J.C.M. and J. Jurberg. 1974. Neotropical Miridae, CLXXX: On the Horcias complex (Hemiptera). Revista brasileira de Biologia, 34(1): 49–65.
Carvalho, J.C.M. and J. Jurberg. 1976. Mirídeos Neotropicais, CCVI: Revisão do Gênero Horciasinus Carvalho & Jurberg (Hemiptera). Revista Brasileira de Biologia, 36(4): 811–834.
Carvalho, J.C.M. and A.F. Rosas. 1965. Mirídeos Neotropicais, XCV: Gênero e Espécies nova do Suriname, com uma lista de Espécies coligidas em Paramaribo. Revista Brasileira de Biologia, 25(2): 207–210.
Carvalho, J.C.M. and A.F. Rosas. 1966. Mirideos Neotropicais, XCVI: Novo genero e espécies da fauna Chilena (Hemiptera). Revista Brasileira de Biologia, 26: 73–75.
Chérot, F and D. Carpintero. 2016. New and little known Miridae from French Guyana and neighbouring areas (Insecta, Heteroptera). Festschrift R. Linnavuori, Entomologica Americana, 122(1-2): 82–96.
Chérot, F., L. Costa and M. Touchet. 2011. Miscellanea miridologica II. New combinations and new synonymies in the subfamily Mirinae. Zootaxa, 3004: 57–62 (free access on Zootaxa’s website).
China, W.E. 1943. Part 8. The generic names of the British Hemiptera Heteroptera, with a check list of British Species. Royal Entomological Society, London. 131 pp. (not seen).
Costa, L.A.A., F. Chérot and D. L. Carpintero. 2008. Hétéroptères Miridae de Guyane française: liste préliminaire, descriptions de taxa nouveaux et données additionnelles. Annales de la Société entomologique de France, 44 (3): 345–371.
Costa, L.A.A. and G. Couturier. 2012. Le genre Anomalocornis Carvalho and Wygodzinski, 1945 (Heteroptera: Miridae: Phylinae), révision taxonomique, description d’une espèce nouvelle et affinité avec les palmiers néotropicaux. Annales de la Société entomologique de France (N.S.), 48 (3–4): 323–341.
da Silva, E.L.C., 2007. Descripción del macho de Rhoicinus andinus (Araneae, Rhoicininae, Trechaleidae). Revista Peruana de Biología, 14 (2): 305–306.
Distant, W.L. 1883. Insecta Rhynchota. Hemiptera Heteroptera. vol. I. In GODMAN, F. D. and SALVIN, O (eds). Biologia Centrali Americana. R. H. Porter, London, pp. 225–264.
Distant, W.L. 1884. Insecta Rhynchota. Hemiptera Heteroptera. vol. I. In GODMAN, F. D. and SALVIN, O (eds). Biologia Centrali Americana. R. H. Porter, London, pp. 265–304.
Distant, W.L. 1904. Rhynchotal Notes. Heteroptera. Fam. Capsidae (Part II) - XXI. Annals and Magazine of Natural History, Ser. 7, vol. XIII: 194–206.
Douglas, J.W. and Scott, J. 1865. The British-Hemiptera. Vol. 1. Hemiptera-Heteroptera. The Ray Society, London, 627 pp., 21 plates.
Ferreira, P.S.F. 1980. Taxonomia das espécies do gênero Polymerus Hahn, 1831 (Hemiptera, Miridae), da região cisandina, América do Sul. Experientiae, 26 (12): 329–386.
Fieber, F.X. 1861. Die europäischen Hemipteren. Halbflügler (Rhynchota Heteroptera). Gerold's Sohn, Wien. pp. 113–444.
Fontes, AV. 1996. Contribução ao estudo da genitália da fêmas de Polymerus Hahn, 1831. Revista Brasileira de Entomologia, 40 (2): 137–141.
Hahn, C.W. 1833. Die wanzenartigen Insecten. 1. C. H. Zeh, Nurnberg. 117 pp.
Henry, T.J. 2012. Revision of the Plant Bug Genus Tytthus (Hemiptera, Heteroptera, Miridae, Phylinae). Zookeys, 220: 1–114.
Hernandez, L.M. and T.J. Henry. 2010. The Plant Bugs, or Miridae (Hemiptera: Heteroptera), of Cuba. Pensoft Series Faunistica n° 92. Pensoft, Sofia, Moscow. 212 pp.
Kirkaldy, G.W. 1906. Notes on the classification and nomenclature of the hemipterous superfamily Miroidea. Canadian Entomologist, 38: 369–376.
Knight, H.H. 1923. Guide to the insects of Connecticut. Part IV. The Hemiptera or sucking insects of Connecticut-Family Miridae (Capsidae). State of Connecticut Geological and Natural History Survey, Bulletin no.34, pp. 422–658 (not seen).
Leston, D. 1952. On certain subgenera of Lygus Hahn, 1833 (Hemiptera, Miridae) with a review of the British species. Entomologist's Gazette, 3: 213–230.
Maldonado Capriles, J. 1969. The Miridae of Puerto Rico (Insecta Hemiptera). Technical paper University of Puerto-Rico, 45: 1–133.
Maldonado Capriles, J. and J.C.M Carvalho.1981. New species of Guianella Carvalho from Panama and a key to the species (Hemiptera, Miridae). Revista Brasileira de Biologia, 41(2): 389–394.
Namyatova, A.A., F. Konstantinov and G. Cassis. 2015. Phylogeny and systematics of the subfamily Bryocorinae based on morphology with emphasis on the tribe Dicyphini sensu SCHUH, 1976. Systematic Entomology, 41(1): 1–38.
Reuter, O.M. 1883. Hemiptera Gymnocerata Europae. Hémiptères Gymnocérates d'Europe, du bassin de la Méditerrranée et de l'Asie Russe. III. Acta Societatis Scientiarum Fennicae, 13: 313–496.
Reuter, O.M. 1890. Capsidae novae ex Africa boreali, descripsit. Revue d’Entomologie, 9: 255–260. (not seen).
Reuter, O.M. 1893. [Espèce nouvelles de Miridae]. In: Bergroth, E., Mission scientifique de M. Ch. Alluaud aux Iles Séchelles (mars, avril, mai 1892). Revue d'Entomologie, 12: 197–209.
Reuter, O.M. 1905. Capsidae in Venezuela a D:o D:re Fr. Meinert collectae enumeratae novaeque species descriptae. Öfversigt af Finska Vetenskapssocietetens Förhandlingar, 47(19): 1–39.
Reuter, O.M. 1907. Capsidae in Brasilia collectae in Museo I. R. Vindobonensi asservatae. Annalen des Naturhistorisches Hofmuseums Wien, 22: 33–80 (not seen).
Reuter, O.M. 1909. Genera quatuor nova divisionis Capsidarum Restheniaria. Öfversigt af Finska Vetenskapssocietetens Förhandlingar, 51A (24): 12 pp.
Say, T. 1832. Descriptions of new species of Heteropterous Hemiptera of North America. New Harmony, Indiana, Dec. 1831, 39 pp. (not seen).
Schuh, R.T. 1995. Plant bugs of the world (Insecta: Heteroptera: Miridae). Systematic Catalog, Distributions, Host List, and Bibliography. Entomological Society of New York. xii + 1329 pp.
Schuh, R.T. 2002-2013.- On-line Systematic Catalog of Plant Bugs (Insecta: Heteroptera: Miridae). http://research.amnh.org/pbi/catalog/ (last access: 21/04/2016).
Schuh, R.T. and M.D Schwartz. 1985. Revision of the plant bug Genus Rhinacloa Reuter with a phylogenetic analysis. Bulletin of the American Museum of Natural History, 179(4): 379–470.
Schwartz, M.D. 1987. Phylogenetic revision of the Stenodemini with a review of the Mirinae (Heteroptera: Miridae). Ph.D. City University of New York. U.M.I., Ann. Arbor. 383 pp.
Schwartz, M.D. 2008. Revision of the Stenodemini with a review of the included genera (Hemiptera: Heteroptera: Miridae: Mirinae). Proceedings of the Entomological Society of Washington, 110(4): 1111–1201.
Signoret, V. 1864. Révision des Hémiptères du Chili. Annales de la Société Entomologique de France, 4(3): 541–588.
Spinola, M. 1852.- Orden VII. Hemipteros. Hemipteros. In: Gay, C. (ed.).- Historia fisica y politica de Chile. Maulde and Renou, Paris. 7: 113–220 (not seen).
Stål, C. 1859. Hemiptera. Species novas descripsit. Kongliga Svenska Fregatten Eugenies resa omkring jorden, III (Zoologi, Insecter). pp. 219–298 (not seen).
Stål, C. 1860. Bidrag till Rio Janeiro-traktens Hemipter-fauna. Kungliga Vetenskapakademiens Handlingar, 2(7): 1–84.
Stål, C. 1862. Hemiptera Mexicana enumeravit speciesque novas descriptis. Stettiner Entomologische Zeitung, 23: 81–118, 289–325.
Van Duzee, E.P. 1916. Synoptical keys to the genera of North American Miridae. University California Publications in Entomology, Technical Bulletin, 1: 199–216.
Walker, F. 1873. Catalogue of specimens of Hemiptera Heteroptera of the British Museum. Part IV. British Museum, 210 pp.
Wheeler, A.G. (Jr). 2001. Biology of the Plant Bugs (Hemiptera: Miridae). Pests, Predators, Opportunists. Cornell University Press, Ithaca, New York. 507pp
Descargas
Archivos adicionales
Publicado
Número
Sección
Licencia
1. Política propuesta para revistas que ofrecen acceso abierto
Aquellos autores/as que tengan publicaciones con esta revista, aceptan los términos siguientes:- Los autores/as conservarán sus derechos de autor y garantizarán a la revista el derecho de primera publicación de su obra, el cuál estará simultáneamente sujeto a la Licencia de reconocimiento de Creative Commons que permite a terceros compartir la obra siempre que se indique su autor y su primera publicación esta revista.
- Los autores/as podrán adoptar otros acuerdos de licencia no exclusiva de distribución de la versión de la obra publicada (p. ej.: depositarla en un archivo telemático institucional o publicarla en un volumen monográfico) siempre que se indique la publicación inicial en esta revista.
- Se permite y recomienda a los autores/as difundir su obra a través de Internet (p. ej.: en archivos telemáticos institucionales o en su página web) antes y durante el proceso de envío, lo cual puede producir intercambios interesantes y aumentar las citas de la obra publicada. (Véase El efecto del acceso abierto).
2. Política propuesta para revistas que ofrecen acceso abierto diferido
Aquellos autores/as que tengan publicaciones con esta revista, aceptan los términos siguientes:- Los autores/as conservarán sus derechos de autor y garantizarán a la revista el derecho de primera publicación de su obra [ESPECIFICAR PERIODO DE TIEMPO], el cuál estará simultáneamente sujeto a la Licencia de reconocimiento de Creative Commons que permite a terceros compartir la obra siempre que se indique su autor y su primera publicación esta revista.
- Los autores/as podrán adoptar otros acuerdos de licencia no exclusiva de distribución de la versión de la obra publicada (p. ej.: depositarla en un archivo telemático institucional o publicarla en un volumen monográfico) siempre que se indique la publicación inicial en esta revista.
- Se permite y recomienda a los autores/as difundir su obra a través de Internet (p. ej.: en archivos telemáticos institucionales o en su página web) antes y durante el proceso de envío, lo cual puede producir intercambios interesantes y aumentar las citas de la obra publicada. (Véase El efecto del acceso abierto).

